


- ID:P339
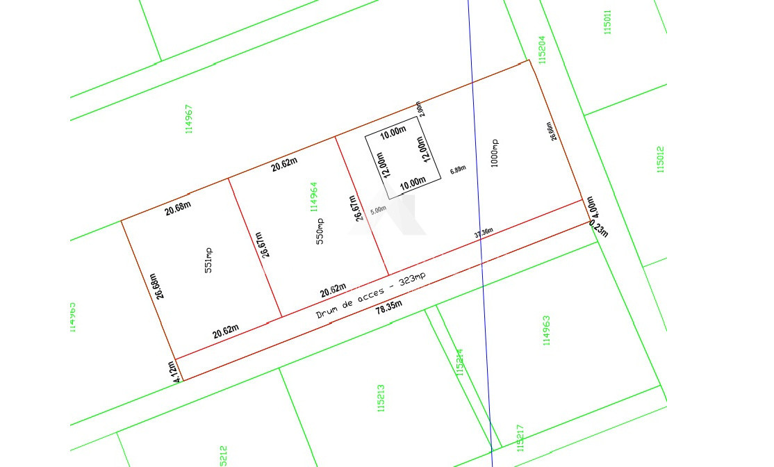
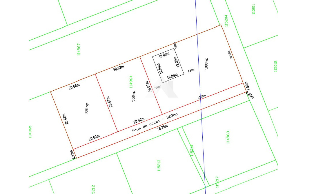
- S. teren:550.00 mp
- Front stradal:20.62 m
- Nr. fronturi:1
- Clasificare teren:Intravilan
- Regim inaltime:P+2
Descriere
ILFOV IMOBILIAR – „O mutare isteață!”
SNAGOV GHERMĂNEȘTI – STR. RĂZBOIENI, LOT TEREN 550 MP, DESCHIDERE 20.62ML, LÂNGĂ PĂDURE, TOATE UTILITĂȚILE LA STRADĂ
PREȚ: 50 EURO/MP
Așa cum v-am obișnuit, COMISION 0.
Dacă ești atras de natură, îți plac plimbările și cauți liniștea, ai ajuns exact unde trebuie.
Vă propunem un teren cu adevărat special, situat în Snagov Ghermănești, pe strada Războieni, într-o zonă verde și aerisită, chiar în imediata apropiere a pădurii. Este genul de proprietate care nu oferă doar spațiu, ci conturează un stil de viață: aer curat, intimitate și echilibru, la doar câteva minute de oraș.
Accesul este facil atât prin DN1, cât și prin Autostrada A3 București–Ploiești, ceea ce face legătura cu Bucureștiul rapidă și eficientă.
Suprafața de 550 mp, cu o deschidere generoasă de 20.62 ml, oferă flexibilitate atât pentru construirea unei locuințe individuale, cât și pentru investiție.
Lot1 – 1000mp + cota drum 150mp, dubla deschidere 26.66ml la strada Razboieni, 37.36ml la drumul privat. Desi este cel mai bine pozitionat lot, fiind afectat de linia de medie si viitorul proprietar este restrictionat la o retragere de 5ml cu o viitoare constructie pretul lotului este de: 50.600 Euro (44euro/mp)
Lot2 – 550mp + cota drum 86.5mp cu o deschidere de 20.62ml la drumul privat. Pret: 31.825 Euro (50euro/mp).
Lot3 – 551mp + cota drum 86.5mp cu o deschidere de 20.62ml la drumul privat. Pret: 31.875 Euro (50euro/mp).
Un avantaj esențial îl reprezintă existența tuturor utilităților la stradă asfaltata; apă, electricitate, gaze și canalizare. Fapt ce permite o dezvoltare rapidă, fără costuri ascunse sau întârzieri.
Snagovul rămâne una dintre cele mai apreciate zone din Ilfov Nord, iar apropierea de lac și de pădurile din zonă transformă această locație într-o alegere ideală atât pentru locuire permanentă, cât și pentru relaxare.
Pentru mai multe informații sau pentru programarea unei vizionări, vă stăm la dispoziție.
Contact:
Birou: Otopeni, Str. 23 August nr. 152A, Ilfov
Email: Costin@ilfovimobiliar.ro
Telefon: +40 748 650 195 – Costin Pestrițu
Specificatii
Curent
Apa
Canalizare
Gaz
Fibra optica
Costin Pestritu
0748650195
Esti interesat de aceasta proprietate ?