Aceasta proprietate a fost deja vanduta! Pentru oferte similare contactati agentul




- ID:P271
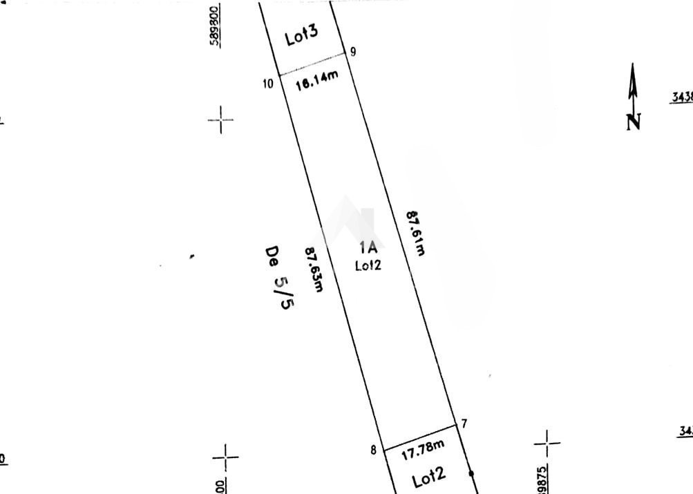
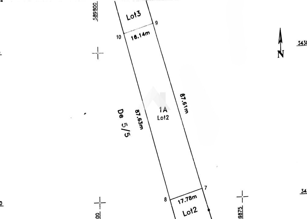
- S. teren:1487.00 mp
- Front stradal:87.63 m
- Nr. fronturi:1
- Clasificare teren:Intravilan
Descriere
ILFOV IMOBILIAR – „O mutare isteață!”
Sat Dimieni, Comuna Tunari - Teren intravilan 1.487 mp, deschidere excelenta 87,63ml
Preț: 83 €/mp
Asa cum v-am obisnuit, COMISION 0
Posibilitate parcelare: 500 mp sau 1.000 mp
Un teren excelent poziționat, ideal pentru dezvoltare rezidențială sau construcția unei locuințe proprii.
Zona oferă liniște, aer curat și acces rapid către Pipera, Otopeni și Autostrada A3 (prin Moara Vlăsiei) – o alegere sigură pentru viitor.
Accesul se face din soseaua principală, pe Strada Straja (asfaltată), iar la doar 400 m pe dreapta se află Strada Ogorului, pietruită și foarte bine întreținută.
În imediata vecinătate se află un lot similar și o dezvoltare nouă de 3 case parter, semn că zona se dezvoltă constant.
Detalii principale:
- teren intravilan
- suprafață: 1.487 mp
- deschidere: 87,63 ml
- adâncime: 17 ml
Regim de construcție: locuințe individuale sau proiect mic rezidențial.
Utilitatile gaz, electricitate si apa sunt la strada principala.
Dacă doriți o colaborare cu agenția noastră, ne puteți scrie pe adresa de e-mail sau vă așteptăm la sediul din Otopeni, Str. 23 August, nr. 152A, Ilfov.
Contact:
0734.129.851 Volcinschi Victor - Consultant Imobiliar
victor@ilfovimobiliar.ro
Citeste mai mult
Sat Dimieni, Comuna Tunari - Teren intravilan 1.487 mp, deschidere excelenta 87,63ml
Preț: 83 €/mp
Asa cum v-am obisnuit, COMISION 0
Posibilitate parcelare: 500 mp sau 1.000 mp
Un teren excelent poziționat, ideal pentru dezvoltare rezidențială sau construcția unei locuințe proprii.
Zona oferă liniște, aer curat și acces rapid către Pipera, Otopeni și Autostrada A3 (prin Moara Vlăsiei) – o alegere sigură pentru viitor.
Accesul se face din soseaua principală, pe Strada Straja (asfaltată), iar la doar 400 m pe dreapta se află Strada Ogorului, pietruită și foarte bine întreținută.
În imediata vecinătate se află un lot similar și o dezvoltare nouă de 3 case parter, semn că zona se dezvoltă constant.
Detalii principale:
- teren intravilan
- suprafață: 1.487 mp
- deschidere: 87,63 ml
- adâncime: 17 ml
Regim de construcție: locuințe individuale sau proiect mic rezidențial.
Utilitatile gaz, electricitate si apa sunt la strada principala.
Dacă doriți o colaborare cu agenția noastră, ne puteți scrie pe adresa de e-mail sau vă așteptăm la sediul din Otopeni, Str. 23 August, nr. 152A, Ilfov.
Contact:
0734.129.851 Volcinschi Victor - Consultant Imobiliar
victor@ilfovimobiliar.ro
Specificatii
Acces internet
Utilitati in zona
Victor Volcinschi
0734 129 851
Esti interesat de aceasta proprietate ?